Terrain - Vue montagne - Prades - Occitanie - France - Terrain constructible de 325 m² à Los Masos – Opportunité rare ! - NR pièces - NR chambres - 325 m² - BienAvecVue
Description
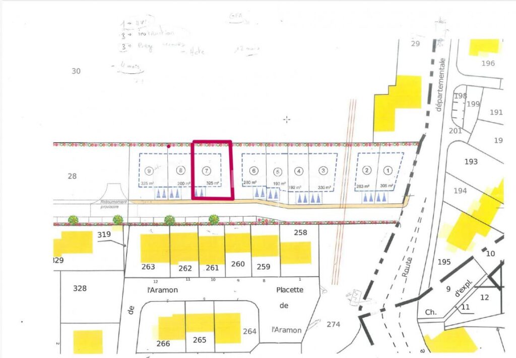
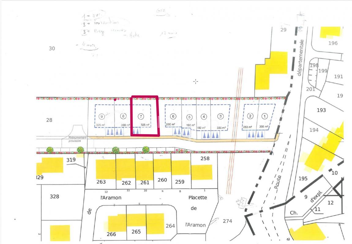
Terrain constructible de 325 m² à Los Masos – Opportunité rare ! Situé sur la charmante commune de Los Masos, à seulement quelques minutes de Prades, découvrez ce beau terrain constructible de 325 m² en 3 faces, idéal pour concrétiser votre projet de maison. Le terrain, plat et bien exposé, offre un cadre paisible et verdoyant, avec une vue dégagée sur les montagnes du Canigou. L’environnement est résidentiel et calme, parfait pour une vie de famille ou une résidence secondaire. Caractéristiques : Superficie : 325 m² Terrain viabilisé Libre de constructeur Proximité : écoles, commerces et services Ce terrain offre un excellent rapport qualité / prix sur le secteur, avec un potentiel de construction intéressant dans un cadre naturel et recherché. Prix : 75000 euros Les honoraires sont à la charge du vendeur. Les informations sur les risques auxquels ce bien est exposé sont disponibles sur le site Géorisques.
